ЖКХ УК МКД Сайт дома №1 по ул. Взлётная в г. Омске

ЖКХ УК МКД

Вырубка зелёных насаждений


Кликните на изображение чтобы увеличить его

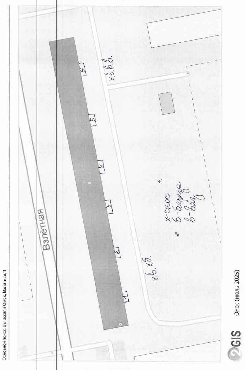
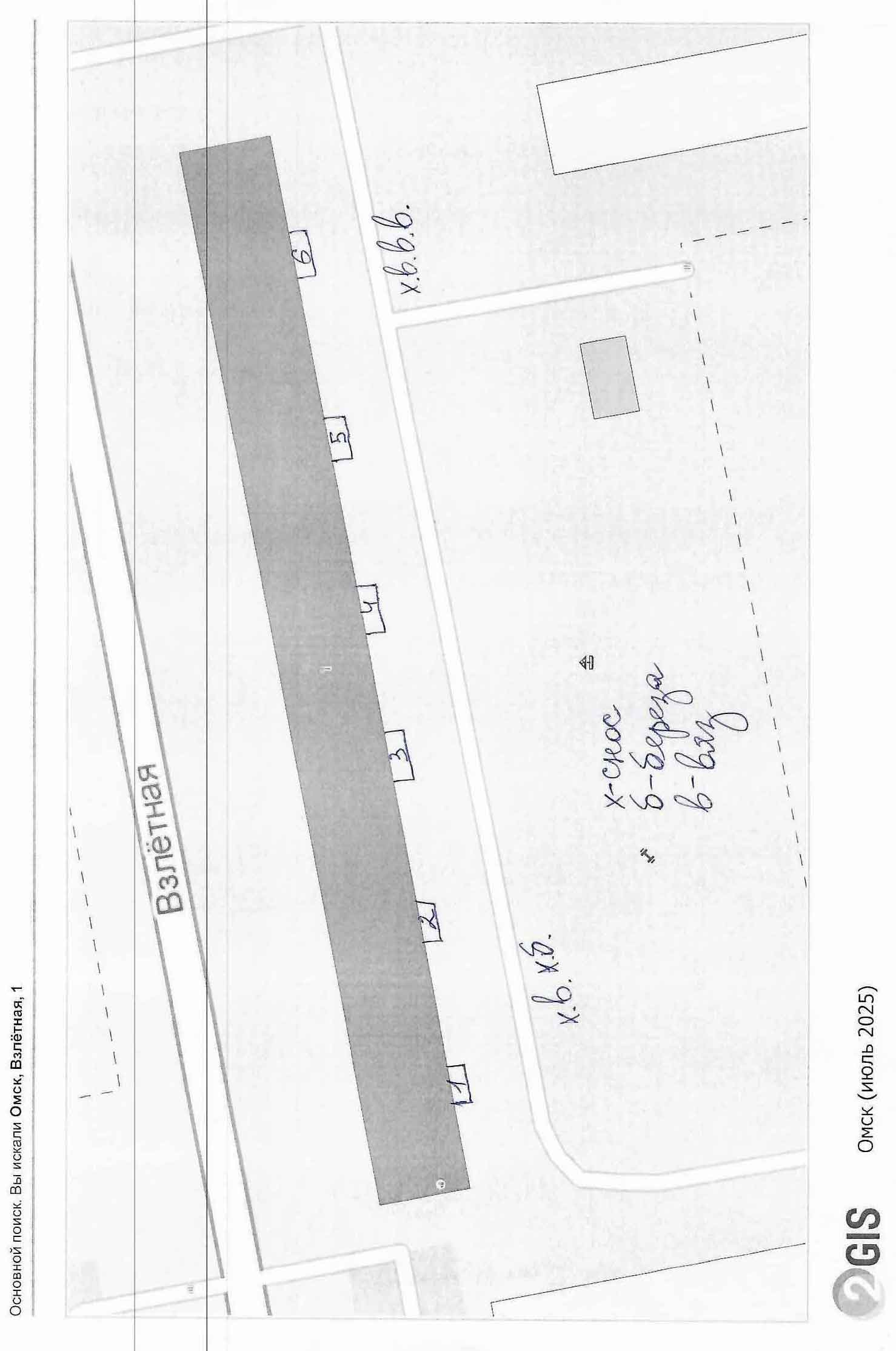
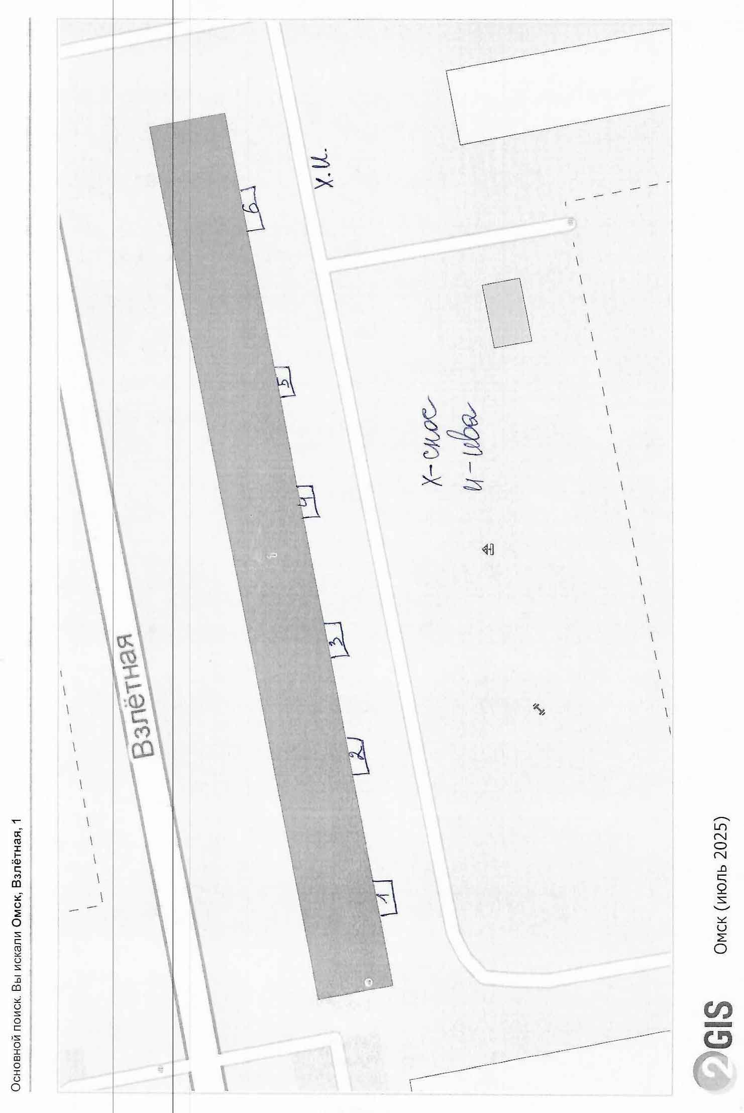
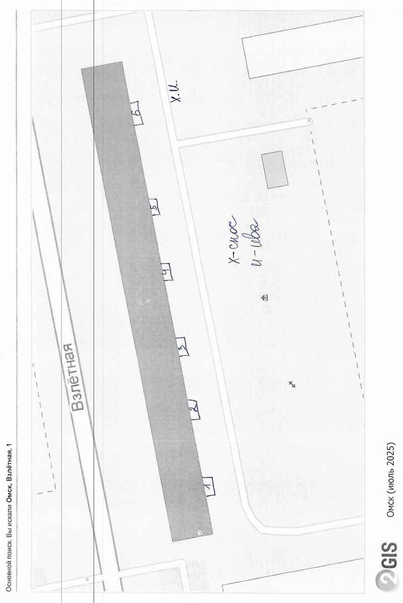
Наш двор и соседний. ул. Взлётная, д. 1 и ул. Степанца, д. 6 от 12.03.2026 г.

На фото наш двор (слева) и соседний.

Кликните чтобы раскрыть

Запрос в Администрацию города от 13.03.2026 г.
Комментарии к документу

Запрос в Администрацию города о правовых основаниях позиции по озеленению и удалению пней

Дата и автор: 13.03.2026, собственники МКД № 1 по ул. Взлётная

Суть запроса: В ответах Администрации на предыдущие обращения по факту вырубки деревьев и компенсационного озеленения содержались противоречивые и юридически необоснованные утверждения:

  • что работы по благоустройству (включая восстановление зелёных насаждений) требуют отдельного решения ОСС, хотя пп. «ж» п. 11 ПП № 491 относит уход за элементами озеленения к обязательным работам по содержанию;
  • что «выкорчевка пней не является неотъемлемой частью сноса деревьев» — без ссылки на норму права;
  • что собственники сами должны решать вопросы озеленения, а ООО «УК «Сибирь» не обязана предоставлять план благоустройства.

В запросе собственники требуют от Администрации письменных разъяснений с указанием конкретных статей и пунктов нормативных актов, на которых основана такая позиция.

Почему это важно: Этот запрос — требование правовой определённости. Если Администрация не сможет обосновать свои тезисы ссылками на закон, это будет означать, что её ответы — не более чем формальные отписки, не имеющие юридической силы. В таком случае у собственников появляется основание для обращения в прокуратуру на введение в заблуждение.

Кроме того, запрос фиксирует ключевые противоречия:

  • содержание или благоустройство — где грань и кто её определяет;
  • пни как часть сноса — есть ли норма, освобождающая ООО «УК «Сибирь» от их удаления;
  • план благоустройства — обязанность УК или право собственников.

Ответ Администрации (или его отсутствие) станет важным документом в дальнейших действиях.

Что дальше: Ждём ответ от Администрации. Если последует отписка без ссылок на нормы — готовим обращение в прокуратуру. Если ответ будет содержательным — анализируем и решаем, как действовать дальше.

Право на информацию — это право на справедливость. Без него невозможно защитить ни деревья, ни свои деньги.

Запрос в Администрацию города

Кликните на изображение чтобы увеличить его

Запрос в Администрацию города по озеленению и пням от 13.03.2026 г. Стр. 1. Запрос в Администрацию города по озеленению и пням от 13.03.2026 г. Стр. 2.
Ответ из Администрации КАО от 11.03.2026 г.
Комментарии к документу

Ответ Администрации на запрос о компенсационном озеленении (март 2026)

Дата и автор: 11.03.2026, Администрация Кировского административного округа г. Омска

Суть ответа: Администрация сообщает, что вопросы сноса и восстановления зелёных насаждений регулируются Решением Омского городского Совета № 45. Комиссия по сносу и обрезке зелёных насаждений действует на основании этого решения и рассматривает обращения при наличии полного пакета документов. Далее Администрация ссылается на протокол ОСС, которым жители установили запрет на высадку деревьев в радиусе 10 метров от фасада, и на позицию УК о том, что любые работы по благоустройству возможны только при наличии решения ОСС и источника финансирования.

Отдельно разъясняется, что выкорчевка пней не является неотъемлемой частью сноса деревьев, требует отдельного указания в договоре и в охранных зонах — дополнительных согласований. Без отдельного договора подрядчик может ограничиться спилом ствола.

Анализ: Ответ Администрации — классический пример подмены понятий и перекладывания ответственности на собственников. Разберём по пунктам:

  1. Противоречие с федеральными нормами: Администрация утверждает, что работы по благоустройству (в том числе восстановление зелёных насаждений) требуют решения ОСС. Однако пп. «ж» п. 11 Правил содержания общего имущества (ПП РФ № 491) прямо относит уход за элементами озеленения к работам по содержанию общего имущества. Минимальный перечень работ (ПП РФ № 290) также включает уборку, выкашивание газонов и уход за зелёными насаждениями как обязательные работы, входящие в плату за содержание жилья. Получается, что позиция Администрации вступает в прямое противоречие с жилищным законодательством.
  2. Пни — удобная лазейка для УК: Утверждение, что «выкорчевка пней не является неотъемлемой частью сноса», юридически очень спорно. Решение № 45 определяет единый порядок сноса, включающий требования к компенсационному озеленению. Согласно п. 7 ст. 120 Решения № 45, компенсационное озеленение должно выполняться до начала работ по сносу. Посадка нового дерева на месте старого невозможна без удаления пня. Если пень остаётся — компенсационное озеленение фактически не выполнено. Кроме того, пни на газоне — это прямое нарушение требований к содержанию элементов озеленения (пп. «ж» п. 11 ПП № 491). Администрация не называет ни одной нормы, на которой основан её вывод, что делает его голословным и удобным для УК.
  3. Запрет на высадку деревьев — что на самом деле решили жители? Администрация ссылается на протокол ОСС, которым жители якобы установили запрет на высадку деревьев в радиусе 10 метров от фасада. Но из ответа неясно:
    • был ли этот пункт включён в повестку собрания;
    • каким количеством голосов он принят;
    • означает ли этот запрет отказ от восстановления утраченных насаждений вообще или только ограничение по размещению новых.
    Если жители не отказывались от озеленения, а лишь обозначили зону безопасности, УК не вправе использовать этот протокол как индульгенцию на бездействие.
  4. Главный вывод: Администрация фактически поддержала позицию УК: «ничего не делаем, пока ОСС не решит и не заплатит». При этом:
    • проигнорирован тот факт, что деревья входили в состав общего имущества и их утрата — следствие действий самой УК;
    • не дана оценка тому, что УК годами уклоняется от предоставления плана благоустройства, без которого ОСС не может принять осознанное решение;
    • не разъяснено, как соотносятся местные правила (Решение № 45) с федеральными нормами (ПП № 491, ПП № 290).

Вопросы, которые остались без ответа:

  • Если озеленение — содержание общего имущества, почему для него требуется ОСС?
  • Где в законе написано, что удаление пней не входит в снос деревьев?
  • Кто и за чей счёт должен убирать пни, оставленные после вырубки?
  • Почему УК не обязана предоставить план благоустройства, без которого ОСС не может решать вопросы озеленения?

Администрация переадресовала проблему собственникам, не дав ответа по существу. Но её же ответ теперь можно использовать как доказательство того, что местные правила трактуются в пользу УК, а федеральные нормы игнорируются.

Что делать дальше: Оставлять ситуацию как есть нельзя — это будет означать, что УК может вырубать деревья без разрешений и без компенсационного озеленения, а надзорные органы — бесконечно пересылать наши обращения друг другу.

Продолжим с другими акцентами. Будем делать новые запросы, смещая фокус на конкретные нормы, которые Администрация в своём ответе обошла стороной. Например:

  • где именно в законе сказано, что удаление пней не входит в снос деревьев;
  • почему восстановление утраченных насаждений трактуется как благоустройство, а не как содержание общего имущества;
  • на каком основании УК не обязана предоставлять план благоустройства, без которого ОСС не может принять решение.

А пока — действуем по трём направлениям:

  1. Фиксируем каждый ответ. Рано или поздно даже самая формальная отписка становится доказательством в суде, на приёме у губернатора или в прокуратуре области.
  2. Меняем угол атаки. Запрашиваем разъяснения, требуем обоснований, ссылаемся на нормы, которые Администрация проигнорировала.
  3. Действуем публично. Соцсети, СМИ, городские паблики — огласка часто эффективнее любых проверок.

Каждый наш шаг — даже если он не приносит быстрой победы — сужает поле для манёвра тем, кто привык действовать в тени. Рано или поздно то, что мы считаем недобросовестностью УК, сыграет против неё же.

Ответ из Администрации КАО

Кликните на изображение чтобы увеличить его

Ответ из из Администрации КАО от 11.03.2026 г. Стр. 1. Ответ из из Администрации КАО от 11.03.2026 г. Стр. 2.
Ответ из ГЖИ от 06.03.2026 г.
Комментарии к документу

Ответ ГЖИ на обращение о вырубке деревьев (март 2026)

Дата и автор: 06.03.2026, Государственная жилищная инспекция Омской области

Суть ответа: ГЖИ сообщает, что ранее (23.01.2026) уже давала разъяснения по этому же вопросу. В том ответе инспекция указала, что контроль за соблюдением Правил благоустройства (Решение № 45) не входит в её компетенцию, и перенаправила обращение в Администрацию. Теперь, получив обращение из Администрации, ГЖИ повторно ссылается на свой предыдущий ответ и предлагает защищать права в судебном порядке.

Дополнительно ГЖИ сообщает, что запрашивала у УК объяснения, и УК предоставила протокол ОСС (№ 2 от 23.06.2025) и решение комиссии округа (№ 64/25 от 26.08.2025). Инспекция сочла эти документы достаточным доказательством законности действий УК и не усмотрела оснований для проведения проверки с взаимодействием.

Также ГЖИ разъяснила, что УК не обязана размещать в ГИС ЖКХ документы, связанные с вырубкой деревьев, и что предоставление их по запросу собственников — право, а не обязанность УК (со ссылкой на Федеральный закон № 209-ФЗ и Приказ № 79/пр).

Анализ: Этот ответ — классический пример ведомственного «пинг-понга» и формального подхода, при котором ни один орган не берёт на себя ответственность за решение проблемы по существу. Обратите внимание на ключевые моменты:

  1. Формализм и небрежность: Уже в первых строках видны несогласованные окончания («На Ваши обращения..., поступившее»; «Ваше обращения были рассмотрены»). Это не просто опечатка, а маркер формального, «конвейерного» подхода к ответам.
  2. Пинг-понг продолжается: Мы обратились в ГЖИ → ГЖИ перенаправила в Администрацию → Администрация вернула обратно в ГЖИ → ГЖИ ответила, что уже отвечала. Круг замкнулся, проблема осталась нерешённой.
  3. Поверхностная проверка: ГЖИ запросила у УК объяснения, получила два документа и сочла их достаточными. При этом инспекция не проверила:
    • был ли акт обследования территории;
    • был ли проект компенсационного озеленения;
    • была ли план-схема места размещения зелёных насаждений;
    • был ли акт о выполнении компенсационного озеленения (которое, согласно п. 7 ст. 120 Решения № 45, должно быть выполнено до начала работ).
    Ни один из этих документов не запрашивался и не оценивался. Формально инспекция выполнила свою работу, но по сути — закрыла глаза на возможные грубые нарушения.
  4. Юридическая коллизия с документами: ГЖИ утверждает, что УК не обязана предоставлять документы по вырубке по запросу собственников, ссылаясь на законы о ГИС ЖКХ. Однако это подмена понятий. Обязанность УК предоставлять информацию по запросу собственников установлена ЖК РФ и Постановлением Правительства № 419. То, что документ не размещён в ГИС ЖКХ, не отменяет обязанности УК ответить на прямой запрос собственника. Отказ УК (и поддержка этого отказа ГЖИ) — прямое нарушение прав собственников на информацию.
  5. Итог: Формально ГЖИ «отработала» обращение в рамках своей компетенции, но по сути:
    • не проверила законность вырубки (отослав это к Администрации);
    • не проверила исполнение обязанности по компенсационному озеленению;
    • поддержала отказ УК в предоставлении документов, создав опасный прецедент.

По сути, нас отправили туда, откуда мы пришли, — в бесконечный круг переписок.

Что делать дальше: Оставлять ситуацию как есть нельзя — это будет означать, что УК может вырубать деревья без разрешений и без компенсационного озеленения, а надзорные органы — бесконечно пересылать наши обращения друг другу.

Мы продолжим. Но теперь — с другими акцентами. Будем делать новые запросы в Администрацию, ГЖИ и прокуратуру, смещая фокус на те обещания, которые уже были даны (например, разъяснить вопрос о плане благоустройства и компенсационном озеленении).

А пока — действуем по трём направлениям:

  1. Фиксируем каждый ответ. Рано или поздно даже самая формальная отписка становится доказательством в суде, на приёме у губернатора или в прокуратуре области.
  2. Меняем угол атаки. Запрашиваем разъяснения, требуем конкретных документов, ссылаемся на данные ранее обещания.
  3. Действуем публично. Соцсети, СМИ, городские паблики — огласка часто срабатывает лучше любых проверок.

Каждый наш шаг — даже если он не приносит быстрой победы — сужает поле для манёвра тем, кто привык действовать в тени. Рано или поздно то, что мы считаем недобросовестностью УК, сыграет против неё же. Наша задача — быть к этому моменту готовыми и вооружёнными.

Ответ из ГЖИ

Кликните на изображение чтобы увеличить его

Ответ из ГЖИ об обращении из Администрации КАО от 06.03.2026 г.
Ответ из Прокуратуры КАО от 16.02.2026 г.
Комментарии к документу

Ответ прокуратуры на жалобу о бездействии полиции (февраль 2026)

Дата и автор: 16.02.2026, заместитель прокурора КАО г. Омска А.Н. Никифоров

Суть ответа: Прокуратура сообщает о частичном удовлетворении жалобы. Установлено, что в июне 2024 года в ОП № 1 УМВД России по г. Омску регистрировалось сообщение о двух фактах: незаконной рекламе на фасаде и сносе деревьев. По результатам проверки 15.06.2024 было вынесено постановление об отказе в возбуждении уголовного дела по ч. 1 ст. 330 УК РФ (самоуправство) на основании п. 1 ч. 1 ст. 24 УПК РФ (отсутствие события преступления).

При этом, согласно ответу прокуратуры, уведомление об отказе было направлено заявителю 17.06.2024. Однако в действительности никакого уведомления не поступало. Это позволяет предположить, что проверка проводилась формально.

16.02.2026 прокуратура округа отменила постановление об отказе и направила материал в ОП № 1 для проведения дополнительной проверки.

Анализ: Данный ответ сам по себе не означает решения проблемы, но его можно считать положительным и даже победным, потому что:

  1. Факт нарушений признан — постановление об отказе в возбуждении уголовного дела отменено. Это значит, что первоначальная проверка проведена неполно или необъективно. Участковый либо не разобрался, либо сознательно проигнорировал факты. Особенно показательно, что документ, который УК предъявляла как «разрешение на вырубку», на самом деле был отказом Администрации в такой вырубке. Участковый не мог этого не заметить, если действительно читал документ, а не поверил УК на слово.
  2. Дело возвращено на новую проверку — расследование начинается заново. Это даёт шанс установить виновных и привлечь их к ответственности. Сам факт того, что прокуратура не списала дело, а вернула его на доработку, — уже победа.
  3. Отказ в иных мерах — пока прокуратура не применяет санкции к должностным лицам полиции. Это объяснимо: сначала нужно завершить проверку и установить все обстоятельства.
  4. Формулировка «частичное удовлетворение» связана с тем, что жалоба содержала несколько требований (реклама + деревья), и удовлетворено только одно из них — отмена постановления по факту вырубки.
  5. Положительный сигнал — прокуратура совершила реальное действие: отменила незаконное постановление и вернула дело на проверку. Это значит, что жителей нашего двора услышали.

Чем закончится дополнительная проверка — пока неизвестно. Но важно зафиксировать: этот раунд остался за жителями. Прокуратура отреагировала, и это уже результат.

Текущий статус: Материал направлен в ОП № 1 УМВД России по г. Омску для проведения дополнительной проверки. В случае бездействия повторно обратимся в прокуратуру с требованием взять расследование на контроль.

Важно: это не просто отписка, а реальный результат. Победа небольшая, но она есть. Держим руку на пульсе и не дадим делу затеряться снова.

Ответ из Прокуратуры КАО

Кликните на изображение чтобы увеличить его

Об удовлетворении обращения.

Ответ из Прокуратуры КАО об Об удовлетворении обращения от 16.02.2026 г.

Постановление об отмене решения об отказе в возбуждении уголовного дела.

Ответ из Прокуратуры КАО - Постановление об отмене решения об отказе в возбуждении уголовного дела о вырубке зелёных насаждений от 16.02.2026 г.
Ответ из Прокуратуры КАО от 09.02.2026 г.
Комментарии к документу

Ответ прокуратуры Кировского округа по обращению о незаконной вырубке деревьев в 2024 году

Дата и автор: 09.02.2026, Прокуратура Кировского административного округа г. Омска

Суть: Прокуратура рассмотрела обращение собственников по вопросу несанкционированного спила деревьев в 2024 году и бездействия полиции (КУСП № 18749). В ответе разъясняется компетенция различных органов власти: полиции (приём и проверка сообщений о преступлениях), Администрации (контроль за благоустройством) и прокуратуры (надзор, не подменяющий иные органы). Копия обращения перенаправлена для рассмотрения по компетенции в администрацию Кировского административного округа и УМВД России по г. Омску.

Анализ ситуации:

  • Прокуратура не стала проводить собственную проверку, а ограничилась разъяснением компетенции и перенаправлением обращения.
  • Фактически обращение «разделилось» на две части: вопросы благоустройства (деревья) ушли в Администрацию, вопросы возможного правонарушения (действия ООО «УК «Сибирь», бездействие полиции) — в УМВД.
  • Такое перенаправление формально соответствует закону (ч. 3 ст. 8 ФЗ-59), но затягивает решение проблемы и создаёт риск повторного «пинг-понга» между ведомствами.
  • Положительным моментом является то, что прокуратура приняла обращение к рассмотрению и дала развёрнутое разъяснение о том, куда и почему направлены материалы.

Что означает этот ответ:

  • Прокуратура не усмотрела оснований для принятия мер прокурорского реагирования на данном этапе.
  • Вопрос о законности вырубки 2024 года будет рассматриваться Администрацией (в рамках благоустройства).
  • Вопрос о бездействии полиции и возможных противоправных действиях ООО «УК «Сибирь» будет рассматриваться УМВД.
  • Ответ из прокуратуры получен, но он носит промежуточный, организационный характер.

Правовые аспекты:

  • Ч. 2 ст. 21 Федерального закона «О прокуратуре РФ»: органы прокуратуры не подменяют иные государственные органы.
  • Ст. 12 Федерального закона «О полиции»: на полицию возложены обязанности по приёму, регистрации и проверке сообщений о преступлениях и правонарушениях.
  • Пп. 8, 9 п. 15 Положения об администрации КАО (Решение Омского горсовета № 419): к функциям администрации отнесён контроль за благоустройством.
  • Ч. 3 ст. 8 Федерального закона № 59-ФЗ: обращение направляется по компетенции в течение 7 дней.

Текущий статус:

  • Обращение от 23.01.2026 по факту незаконной вырубки 2024 года и бездействию полиции перенаправлено прокуратурой для рассмотрения по компетенции:
    • в части, касающейся благоустройства, — в администрацию Кировского округа;
    • в части, касающейся действий ООО «УК «Сибирь» и бездействия полиции, — в УМВД России по г. Омску.
  • Ответы ожидаются из указанных органов в установленные законом сроки.
  • Прокуратура оставляет за собой право контроля за рассмотрением обращения.

Следите за обновлениями.

Возможные дальнейшие действия:

  • Контролируем сроки рассмотрения обращения в Администрации и УМВД.
  • При отсутствии ответов или формальных отписках — повторное обращение в прокуратуру с указанием на бездействие органов, куда было перенаправлено обращение.
  • Фиксируем все ответы для формирования полной хронологии событий.

Вывод:

Ответ прокуратуры носит процедурный характер: он не решает вопрос по существу, но чётко определяет, какие органы и в какой части должны заниматься проблемой. Это важный этап, поскольку теперь обращения находятся на рассмотрении в профильных ведомствах, и их бездействие будет основанием для повторного обращения в прокуратуру.

Ответы из Прокуратуры КАО

Кликните на изображение чтобы увеличить его

О продлении сроков ответа на 10 дней.

Ответ из Прокуратуры КАО о продлении сроков на 10 дней от 09.02.2026 г.

Ответ из Прокуратуры КАО

Ответ из Прокуратуры КАО о вырубке зелёных насаждений от 09.02.2026 г. стр. 1. Ответ из Прокуратуры КАО о вырубке зелёных насаждений от 09.02.2026 г. стр. 2.
Ответ Администрации КАО от 19.02.2026 г.
Комментарии к документу

Ответ Администрации Кировского округа по вопросу удаления пней после вырубки деревьев

Дата и автор: 19.02.2026, Администрация Кировского административного округа

Суть: Администрация рассмотрела обращение собственников по факту сноса деревьев и предоставления документов комиссии. В ответе сообщается, что специалистами департамента контроля проведено обследование территории, по результатам которого установлено: часть деревьев снесена, пни, оставшиеся после вырубки, не удалены. Далее в ответе излагаются правовые нормы, регулирующие порядок сноса и удаления пней, а также хронология событий 2025 года. Ключевой тезис ответа: «удаление пней не является неотъемлемой частью сноса деревьев». Для удаления пней этот пункт должен быть отдельно прописан в решении общего собрания собственников и договоре с подрядчиком. Также указывается на необходимость согласования работ в охранных зонах инженерных сетей и получения ордера на земляные работы.

Анализ ситуации:

  • Положительный момент: Ранее, 26.12.2025, было обращение в ГЖИ, и ГЖИ перенаправила обращение в Администрацию (ответ ГЖИ от 23.01.2026), Администрация ответила на данное обращение, оставив нерешёнными ключевые вопросы (ответ от 09.02.2026). В то же время собственники отправили в Администрацию ещё одно (дублирующее) обращение 26.01.2026, и данный ответ - это ответ на это повторное обращение. И здесь уже Администрация провела выездное обследование и официально подтвердила факт нарушения: пни не удалены. Это зафиксировано документально.
  • Противоречие: В ответе утверждается, что удаление пней не является неотъемлемой частью сноса, хотя пункт 4 статьи 120 Решения №45 прямо обязывает удалять пни в трёхдневный срок после вырубки. Администрация фактически предлагает собственникам самим закладывать в решение собрания и договор то, что уже предусмотрено законом.
  • Новые обстоятельства: В ответе впервые упоминаются ограничения, связанные с охранными зонами инженерных сетей и необходимостью получения ордера на земляные работы. Это может быть как реальным препятствием, так и попыткой ООО «УК «Сибирь» оправдать своё бездействие.
  • Отсутствие конкретики: Не указано, попадают ли оставшиеся пни в охранные зоны, и проводилось ли такое согласование ООО «УК «Сибирь». Администрация ограничилась общими формулировками.

Что означает этот ответ:

  • Факт наличия пней и нарушения сроков их удаления официально подтверждён.
  • Администрация не требует от ООО «УК «Сибирь» немедленно убрать пни, а перекладывает ответственность на собственников (решение ОСС) и на технические условия (охранные зоны).
  • Вопрос о том, почему УК, получая разрешение на снос, не позаботилась о включении работ по удалению пней в договор с подрядчиком и не согласовала их с владельцами сетей, остаётся открытым.
  • По сути, ООО «УК «Сибирь» выполнила работы не в полном объёме, оставив собственникам «полдела» и теперь ссылается на отсутствие прямого указания в договоре.

Правовые аспекты:

  • Пункт 4 статьи 120 Решения №45: пни удаляются в течение трёх суток с основных улиц и трёх суток с придомовых территорий. Норма является прямой, не требующей дополнительных решений собрания.
  • Пункт 6 статьи 120 Решения №45: работы по сносу и раскорчевке пней сдаются представителю комиссии, принявшей решение.
  • Охранные зоны инженерных сетей регулируются:
    • Постановлением Правительства РФ № 160 «О порядке установления охранных зон объектов электросетевого хозяйства...»;
    • Постановлением Правительства РФ № 578 «Об утверждении Правил охраны линий и сооружений связи Российской Федерации»;
    • Постановлением Правительства РФ № 878 «Об утверждении Правил охраны газораспределительных сетей»;
    • СНиП и местными нормативами.
  • Обязанность по получению ордера на земляные работы лежит на лице, проводящем работы (в данном случае — на подрядчике, привлечённом ООО «УК «Сибирь»).

Текущий статус:

  • Факт наличия пней и нарушения сроков их удаления подтверждён актом обследования Администрации.
  • Администрация указала на необходимость отдельного решения ОСС и согласования с владельцами сетей, но не предписала ООО «УК «Сибирь» устранить нарушение.
  • Вопрос о том, предпринимала ли УК меры по согласованию работ в охранных зонах и получению ордера, остаётся невыясненным.
  • Ответ Администрации получен, но не содержит мер воздействия на УК.

Следите за обновлениями.

Возможные дальнейшие действия:

  • Направить запрос в УК с требованием предоставить информацию:
    • входило ли удаление пней в договор с подрядчиком;
    • проводилось ли согласование работ с владельцами инженерных сетей;
    • получался ли ордер на земляные работы.
  • При отсутствии у УК документов, подтверждающих невозможность удаления пней, — обращение в прокуратуру с требованием принудить УК к исполнению обязанности по удалению пней.
  • Запросить в Администрации информацию о том, распространяются ли ограничения охранных зон на конкретные пни, оставшиеся после вырубки.

Вывод:

Ответ Администрации, с одной стороны, Администрация зафиксировала нарушение (пни есть), с другой — не обязала ООО «УК «Сибирь» его устранить, а предложила собственникам самостоятельно решать вопрос через ОСС и разбираться с охранными зонами. При этом обязанность по выполнению работ в полном объёме (включая удаление пней) лежит на УК как на лице, организовавшем снос. Отсутствие чёткого указания в договоре не освобождает УК от ответственности за некачественно выполненные работы.

Ответ Администрации КАО

Кликните на изображение чтобы увеличить его

Ответ Администрации КАО о вырубке зелёных насаждений от 19.02.2026 г. стр. 1. Ответ Администрации КАО о вырубке зелёных насаждений от 19.02.2026 г. стр. 2. Ответ Администрации КАО о вырубке зелёных насаждений от 19.02.2026 г. стр. 2.
Ответ Администрации КАО от 16.02.2026 г.
Комментарии к документу

Ответ Администрации города Омска на обращение о разъяснении вопросов по компенсационному озеленению, удалению пней, документам для собственников, правовой квалификации работ и комплексном планировании озеленения

Дата и автор: 16.02.2026, Администрация Кировского административного округа

Суть: Собственниками помещений МКД по ул. Взлётная, д.1 был направлен детализированный запрос разъяснений в Администрацию города на ответ Администрации по вопросу вырубки деревьев на придомовой территории МКД. Администрация в ответе сообщает, что копия обращения направлена в Государственную жилищную инспекцию Омской области для рассмотрения и принятия мер по компетенции. По вопросам, относящимся к компетенции администрации округа, обещано проинформировать дополнительно.

Анализ ситуации: Данный ответ демонстрирует классический пример «ведомственного ping-pong» (пинг-понга), когда обращение пересылается из одного органа в другой. При этом:

  • Наше обращение от 10.02.2026 изначально содержало как вопросы, относящиеся к компетенции Администрации (благоустройство, пни, озеленение), так и вопросы, касающиеся деятельности ООО «УК «Сибирь» (непредоставление документов, нецелевое расходование средств).
  • Администрация выделила вторую часть и перенаправила её в ГЖИ, что формально соответствует распределению полномочий.
  • Вместе с тем, мы уже направляли аналогичные вопросы в ГЖИ ранее, и инспекция перенаправляла их в Администрацию. Создаётся замкнутый круг.
  • Положительным моментом является обещание дать ответ по существу вопросов, входящих в компетенцию Администрации (пни, озеленение, правовая квалификация работ).

Что означает этот ответ:

  • Вопросы о предоставлении документов, нецелевом расходовании средств и действиях ООО «УК «Сибирь» будут рассматриваться ГЖИ (повторно).
  • Вопросы о пнях, компенсационном озеленении и планировании благоустройства остаются на рассмотрении Администрации.
  • Фактически наше обращение «разделилось» на два, и мы будем ждать ответов из двух ведомств.

Правовые аспекты:

Действия Администрации соответствуют ч. 3 ст. 8 Федерального закона № 59-ФЗ «О порядке рассмотрения обращений граждан», согласно которой орган власти обязан направить обращение по компетенции в течение 7 дней. Однако сама по себе такая пересылка затягивает решение проблемы и не даёт ответа по существу.

Текущий статус:

  • Обращение от 10.02.2026 в части, касающейся деятельности УК (предоставление документов, нецелевое расходование средств), перенаправлено Администрацией в Государственную жилищную инспекцию для рассмотрения по компетенции.
  • В части, касающейся благоустройства, удаления пней, компенсационного озеленения и правовой квалификации работ, обращение остается на рассмотрении Администрации с обещанием дать разъяснения.
  • Ответы ожидаются из обоих ведомств в установленные законом сроки.

Следите за обновлениями.

Возможные дальнейшие действия:

  • Контролируем сроки рассмотрения обоих обращений.
  • При отсутствии ответов или формальных отписках — подготовка обращения в прокуратуру о бездействии органов власти.
Ответ Администрации КАО

Кликните на изображение чтобы увеличить его

Ответ Администрации КАО о вырубке зелёных насаждений от 16.02.2026 г.
Обращение в Администрацию г. Омска от 10.02.2026 г.
Комментарии к документу

Анализ обращения в Администрацию города: системный подход к решению проблемы озеленения

Дата и автор: 10.02.2026, Собственники помещений МКД по ул. Взлётная, д.1

Суть обращения: Направлен детализированный запрос разъяснений в Администрацию города по вопросам законности вырубки деревьев в 2025 году, необходимости компенсационного озеленения и устранения нарушений. Обращение построено на системном анализе ситуации и направлено на получение официальных правовых разъяснений для дальнейших действий.

Ключевые особенности данного обращения:

  1. Юридическая глубина анализа — не просто жалоба, а запрос правовой оценки ситуации с альтернативными вариантами квалификации.
  2. Системный подход к проблеме — обращение рассматривает не только конкретную вырубку, но и отсутствие комплексного планирования озеленения за более чем 10-летний период управления УК.
  3. Прояснение вопросов:
    • Если озеленение — содержание → УК обязана выполнить озеленение без дополнительного финансирования и без ОСС.
    • Если озеленение — благоустройство → требуется ОСС (которого нет).
    • Если озеленение не требуется → нужны правовые основания.
  4. Документированная история нарушений — указаны конкретные нарушения (пни с осени 2025, отсутствие озеленения, непредоставление документов).
  5. Конкретные, реалистичные требования — предложены три возможных варианта решения в зависимости от правовой квалификации ситуации.

Правовая основа обращения:

  • Решение №45 (ст. 120) — требования к компенсационному озеленению и удалению пней.
  • ПП №290 и ПП №491 — вопросы содержания общего имущества.
  • Жилищный кодекс (ст. 44-46) — порядок принятия решений по благоустройству.
  • ФЗ №59 — право граждан на получение информации.

Ожидаемые результаты:

  • Получение официальных правовых разъяснений от Администрации.
  • Установление чётких требований к УК по устранению нарушений.
  • Создание основы для дальнейших действий (в зависимости от ответа).
  • Документирование позиции Администрации для возможного обращения в надзорные органы.

Текущий статус: Обращение направлено в Администрацию города.

Важно: Данное обращение представляет собой пример системного подхода к решению проблем в сфере ЖКХ. Оно показывает, как можно анализировать ситуацию с разных правовых позиций, а также то, что одно обращение может стать стратегическим документом, от одного ответа к другому повышающим вероятность конкретных решений от контрольно-надзорных органов.

Обращение в Администрацию г. Омска

Кликните на изображение чтобы увеличить его

Обращение в Администрацию города Омска о вырубке зелёных насаждений от 10.02.2026 г. стр. 1 Обращение в Администрацию города Омска о вырубке зелёных насаждений от 10.02.2026 г. стр. 2
Ответ Администрации г. Омска от 09.02.2026 г.
Комментарии к документам

Анализ ситуации с вырубкой деревьев: получен ответ Администрации Кировского округа и направлен запрос разъяснений

Дата и автор: 09.02.2026, Администрация Кировского округа.

Суть: Администрация Кировского округа подтвердила факт вырубки 6 деревьев в 2025 году по решению комиссии №64/25 от 26.08.2025. Деревья признаны аварийными (наклон 45°, разрушение стволов). Однако ответ Администрации оставил нерешёнными ключевые юридические вопросы, требующие официальных разъяснений.

Текущая ситуация:

  • Вырубка проведена — 6 деревьев снесены в 2025 году по решению комиссии.
  • Пни не убраны — нарушение п. 4 ст. 120 Решения №45 (более 5 месяцев вместо установленных 3 суток).
  • Компенсационное озеленение не выполнено — при этом п. 7 ст. 120 требует его выполнения до начала работ.
  • Документы не предоставлены в полном объёме — собственники не имеют достаточной информации для оценки законности вырубки деревьев и для проведения ОСС по вопросу благоустройства.
  • Юридическая неопределённость — неясен правовой статус компенсационного озеленения.

Ключевые вопросы для разъяснения:

  1. Компенсационное озеленение и аварийность — попадают ли основания вырубки под исключения из п. 7 ст. 120, освобождающие от озеленения?
  2. Правовая квалификация — является ли компенсационное озеленение:
    • Мероприятием по содержанию общего имущества (тогда УК обязана выполнить за счёт текущего ремонта)
    • Или мероприятием по благоустройству (тогда требуется решение ОСС, которого нет)?
  3. Нарушение сроков — законны ли действия УК без предварительного озеленения, требуемого законом?
  4. Устранение пней — когда будут убраны пни, нарушающие п. 4 ст. 120?
  5. Комплексное планирование — обязана ли УК разработать план озеленения территории, учитывая более, чем 10-летний период управления домом?

Текущий статус: Направлен детализированный запрос разъяснений в Администрацию. Следите за обновлениями.

Исторический контекст: Это уже не первый случай вырубки деревьев на нашей территории. Так, в 2024 году вырубка проводилась вообще без каких-либо разрешений. В 2025 году УК попыталась легализовать процесс, но ключевые вопросы законности остаются нерешёнными.

Важно: Даже признание деревьев аварийными не снимает с УК обязанности соблюдать все процедурные требования законодательства, включая компенсационное озеленение (если оно требуется) и своевременное удаление пней.

Ответ Администрации г. Омска от 09.02.2026 г.

Кликните на изображение чтобы увеличить его

Ответ Администрации города Омска о вырубке зелёных насаждений от 09.02.2026 г. стр. 1 Ответ Администрации города Омска о вырубке зелёных насаждений от 09.02.2026 г. стр. 2

Приложения к ответу:

Письмо УК в Администрацию г. Омска от 24.07.2025 г.

Кликните на изображение чтобы увеличить его

Письмо УК в Администрацию города Омска о вырубке зелёных насаждений от 24.07.2025 г. стр. 1
Акты обследования территории от 11.08.2025 г.

Кликните на изображение чтобы увеличить его

Акт обследования территории в Администрацию города Омска о вырубке зелёных насаждений от 11.08.2025 г. Схема производства работ к Акту обследования территории в Администрацию города Омска о вырубке зелёных насаждений от 11.08.2025 г. Акт обследования территории в Администрацию города Омска о вырубке зелёных насаждений от 11.08.2025 г. Схема производства работ к Акту обследования территории в Администрацию города Омска о вырубке зелёных насаждений от 11.08.2025 г.
Решения Администрации г. Омска от 26.08.2025 г.

Кликните на изображение чтобы увеличить его

Решение №64/25 Администрации города Омска о вырубке зелёных насаждений от 26.08.2025 г. Решение Администрации города Омска о вырубке зелёных насаждений от 26.08.2025 г.
Обращение в Администрацию г. Омска от 26.01.2026 г.
Комментарии к документу

Обращение в Администрацию города с запросом документов и оценкой ситуации по вырубке 2025 года

Дата и автор: 26.01.2026, Собственники помещений МКД по ул. Взлётная, д.1

Суть: Обращение в органы местного самоуправления с запросом о выполнении их полномочий: предоставить документы, обосновывающие законность вырубки деревьев в 2025 году, и рассмотреть вопрос об обязании УК устранить нарушения Правил благоустройства. В обращении подробно изложена предыстория: отказ УК предоставить документы и убрать пни, ответ ГЖИ о перенаправлении обращения в Администрацию как в компетентный орган.

Анализ: Этот документ переводит решение вопроса о законности вырубки и компенсационного озеленения из сферы жилищного надзора (ГЖИ) в сферу муниципального контроля за благоустройством. Обращение ссылается на местные Правила (Решение №45) и использует официальный ответ ГЖИ, указавший на компетенцию Администрации в данных вопросах. Чётко сформулированные просьбы (предоставить документы, дать разъяснения, принять меры) направлены на получение официальной информации и правовой оценки ситуации от уполномоченного органа.

Текущий статус: Обращение направлено в Администрацию города Омска. Следите за обновлениями.

Обращение в Администрацию г. Омска

Кликните на изображение чтобы увеличить его

Обращение в Администрацию города Омска о вырубке зелёных насаждений от 26.01.2026 г. стр. 1 Обращение в Администрацию города Омска о вырубке зелёных насаждений от 26.01.2026 г. стр. 2
Обращение в Обл. прокуратуру от 23.01.2026 г.
Комментарии к документу

Обращение в Прокуратуру Омской области о бездействии полиции и действиях УК (вырубка 2024)

Дата и автор: 23.01.2026, Собственники помещений МКД по ул. Взлётная, д.1

Суть: Обращение в прокуратуру с требованием проверить два ключевых аспекта: 1) Бездействие полиции, выразившееся в отсутствии результатов по зарегистрированному в 2024 году сообщению о незаконной вырубке (КУСП № 18749), и 2) Противоправные действия ООО «УК «Сибирь», которые включают незаконную рубку и введение в заблуждение сотрудника полиции и собственников путём предъявления неправомочного документа. В обращении собрана полная доказательная цепочка: видеофиксация, аудиозапись с подтверждением специалиста администрации, переписка.

Анализ: Данное обращение представляет собой финальный, обобщающий документ по эпизоду 2024 года, переводящий проблему на уровень надзора за законностью действий правоохранительных органов. Его сила — в систематизации доказательств (видео, аудио, письменные ответы) и чёткой юридической квалификации действий УК не только как нарушения правил благоустройства, но и как введения в заблуждение представителя власти, что потенциально меняет правовую оценку. Обращение ставит перед прокуратурой конкретные задачи: оценка бездействия полиции и правовая квалификация действий УК.

Текущий статус: Обращение направлено в Прокуратуру Омской области для проведения проверки и принятия мер прокурорского реагирования. Следите за обновлениями.

Обращение в Обл. прокуратуру

Кликните на изображение чтобы увеличить его

Обращение в областную прокуратуру о вырубке зелёных насаждений и бездействии полиции от 23.01.2026 г. стр. 1 Обращение в областную прокуратуру о вырубке зелёных насаждений и бездействии полиции от 23.01.2026 г. стр. 2
Ответ из ГЖИ от 23.01.2026 г.

Кликните чтобы раскрыть

Комментарии к ответу ГЖИ

Краткий анализ ответа ГЖИ

Дата и автор: 23.01.2026, Государственная жилищная инспекция Омской области

Анализ:

  1. Местные правила благоустройства (Решение №45) не входят в перечень надзорных актов ГЖИ. Следовательно, их соблюдение они не контролируют.
  2. ГЖИ пояснила, что вопросы благоустройства и компенсационного озеленения находятся в зоне ответственности Администрации города. И сама направила туда нашу жалобу.
  3. ГЖИ запросила у УК письменные объяснения. И это говорит о том, что за деятельностью УК теперь более внимательно присматривают не только собственники, но уже и ГЖИ.
  4. УК предоставила протокол ОСС (№2 от 23.06.2025) и решение комиссии округа (№64/25 от 26.08.2025). В ГЖИ приняли эти документы как достаточное доказательство законности действий УК.
  5. ГЖИ сослалась на ст. 58 ФЗ-248 «О государственном контроле (надзоре) и муниципальном контроле в Российской Федерации». При этом не ясно, каким именно образом была проведена оценка достоверности представленных УК сведений. Запрашивались ли другие необходимые документы (акт обследования территории, проект выполнения компенсационного озеленения, план-схема места размещения зеленых насаждений на объекте и производства работ, акт о выполнении компенсационного озеленения - п. 7ст. 120 Решения № 45: «Компенсационное озеленение за снос зеленых насаждений выполняется до начала работ по сносу зеленых насаждений»)?
  6. ГЖИ сообщает, что УК не обязана выкладывать в ГИС ЖКХ документы по вырубке деревьев. Предоставлять их по запросу собственников — это ее право, а не обязанность, ссылаясь на Федеральный закон № 209-ФЗ и Приказ №79/пр. Но эти законы касаются информации для ГИС ЖКХ. А согласно ЖК РФ и ПП № 419 собственники имеют право потребовать от УК документы. Значит, отказ может расцениваться как нарушение прав собственников.
  7. В итоге, ГЖИ отвечает, что оснований для проведения проверки, предусматривающей взаимодействие с УК у них нет. И предлагает обратиться в прокуратуру (за отказ в информации) и в суд (за причинение ущерба общему имуществу).
  8. Вывод: Таким образом, ответ ГЖИ, формально исчерпывающий её полномочия, оставляет открытыми ключевые вопросы о законности вырубки и исполнении обязанности по компенсационному озеленению, отнесённые к компетенции Администрации города. Ответ также фиксирует правовую коллизию: отказ УК предоставить собственникам документы, запрашиваемые на основании ЖК РФ, при том что общие нормы гражданского и жилищного права трактуют такое предоставление как обязанность УК по договору. Эти неразрешённые противоречия являются предметом дальнейших обращений.
Письмо из ГЖИ

Кликните на изображение чтобы увеличить его

Ответ ГЖИ о вырубке зелёных насаждений №735 от от 23.01.2026 г. стр. 1 Ответ ГЖИ о вырубке зелёных насаждений №735 от от 23.01.2026 г. стр. 2 Ответ ГЖИ о вырубке зелёных насаждений №735 от от 23.01.2026 г. стр. 3
Жалоба в ГЖИ на УК "Сибирь" от 26.12.2025 г.
Комментарии к документу

Жалоба в ГЖИ на бездействие УК по вырубке деревьев (декабрь 2025)

Дата и автор: 26.12.2025, Собственники помещений МКД по ул. Взлётная, д.1

Суть: Развёрнутая жалоба в Государственную жилищную инспекцию с требованием проверить действия ООО «УК «Сибирь» и выдать предписание. Основания: 1) Отказ УК предоставить собственникам запрошенные документы по вырубке, 2) Неисполнение Правил благоустройства (остались пни после вырубки, отсутствует компенсационное озеленение). В жалобе детально разобраны ответы УК и даны правовые обоснования нарушений.

Анализ: Это документ систематизирует нарушения (информационные, экологические, финансовые) и переводит их в плоскость надзорного производства. Используется отсылка к конкретным пунктам Правил благоустройства (п. 4, п. 6, п. 7 ст. 120 Решения №45) для доказательства, что позиция УК о «неприменимости» требований несостоятельна. Жалоба создаёт для ГЖИ чёткий перечень проверочных действий.

Текущий статус: Данная жалоба была рассмотрена ГЖИ. Ответ инспекции и дальнейшие шаги, предпринятые на его основании, являются предметом отдельных комментариев. Следите за обновлениями.

Жалоба в ГЖИ на УК "Сибирь"

Кликните на изображение чтобы увеличить его

Жалоба в ГЖИ на УК "Сибирь" о вырубке зелёных насаждений от 26.12.2025 г.
Ответ от УК "Сибирь" от 22.12.2025 г.
Комментарии к ответу

Ответ УК на запрос о документах по вырубке (декабрь 2025)

Дата и автор: 22.12.2025, ООО «УК «Сибирь»

Суть: Управляющая организация официально отказала в предоставлении запрашиваемых собственниками документов, сославшись на то, что вся обязательная к раскрытию информация уже размещена в системе ГИС ЖКХ. УК утверждает, что работы по вырубке проведены строго по решению окружной комиссии, которое не содержало требований об удалении пней и компенсационном озеленении. Компания предлагает собственникам самостоятельно принять и финансировать решение по устранению пней и озеленению.

Анализ: Ответ носит формальный характер. УК ссылается только на свои обязанности по раскрытию информации в ГИС ЖКХ, игнорируя право собственников на получение документов по запросу (ст. 20, ст. 44 ЖК РФ, п. 40 Постановления Правительства № 419). Утверждение, что требования о компенсационном озеленении к данной ситуации неприменимы, прямо противоречит тексту Правил благоустройства, где это требование является обязательным (п. 7 ст. 120 Решения №45). Что касается пней, то УК пытается представить удаление пней как отдельную платную услугу, хотя это завершающая часть работ по вырубке (п. 4 ст. 120 Решения №45).

Текущий статус: Данный отказ, наряду с другими фактами, стал предметом обращения в Государственную жилищную инспекцию и Администрацию города Омска. Следите за обновлениями.

Ответ от УК "Сибирь"

Кликните на изображение чтобы увеличить его

Ответ от УК "Сибирь" о вырубке зелёных насаждений №1090 от 22.12.2025 г.
Запрос в УК "Сибирь" от 02.12.2025 г.
Комментарии к запросу

Запрос в УК о предоставлении документов по вырубке деревьев

Дата и автор: 02.12.2025, Коллективный запрос от собственников помещений МКД по ул. Взлётная, д.1

Суть: Официальное требование к ООО «УК «Сибирь» предоставить полный пакет документов, обосновывающих законность вырубки деревьев, проведённой осенью 2025 года. В запросе перечислены конкретные документы: разрешение администрации, акты обследования, план компенсационного озеленения, договор с подрядчиком и план по удалению пней. Обоснование — необходимость проверки соблюдения Правил благоустройства города Омска.

Анализ: Запрос составлен по всем правилам: ссылается на нормы ЖК РФ и местные нормативные акты, содержит чёткий перечень требований и обозначает правовые последствия отказа. Этот документ формализует право собственников на информацию и создаёт основание для последующих жалоб в надзорные органы в случае неполучения ответа. Факт отправки такого запроса является важным шагом в досудебном урегулировании спора.

Текущий статус: Согласно последующему ответу УК, запрашиваемые документы предоставлены не были. Отказ УК стал основанием для обращения в Государственную жилищную инспекцию. Следите за обновлениями.

Запрос в УК "Сибирь"

Кликните на изображение чтобы увеличить его

Запрос в УК "Сибирь" о вырубке зелёных насаждений от 02.12.2025 г. стр. 1 Запрос в УК "Сибирь" о вырубке зелёных насаждений от 02.12.2025 г. стр. 2
Ответ из МВД от 17.06.2024 г.
Комментарии к ответу из МВД

Ответ полиции о регистрации обращения по вырубке 2024 года

Дата и автор: 17.06.2024, УМВД России по городу Омску (Отдел полиции №1)

Суть: Официальное уведомление о том, что обращение Совета МКД (2021 - 2024 гг.) от 24.05.2024 зарегистрировано в полиции как сообщение о возможном правонарушении (КУСП № 18749). В ответе указано, что рассмотрение будет вестись в рамках уголовного или административного законодательства, а о результатах заявителю сообщат дополнительно.

Анализ: Этот документ подтверждает, что полиция признала факты, изложенные в обращении, достаточными для начала процессуальной проверки. Однако ответ не содержит информации о конкретных проводимых действиях (допросы, запросы в администрацию, назначение экспертизы). Регистрация в КУСП является необходимым первым шагом процедуры.

Текущий статус: Обращение зарегистрировано в КУСП № 18749 от 17.06.2024. Дальнейшие результаты рассмотрения, согласно ответу, должны быть сообщены заявителю дополнительно. Следите за обновлениями.

Письмо из МВД

Кликните на изображение чтобы увеличить его

Ответ из МВД о регистрации обращения от 17.06.2024 г.
Аудиозапись разговора с Администрацией от 04.03.2024 г.
Комментарии к аудиозаписи

Аудиозапись разговора со специалистом Администрации о незаконности вырубки (04.03.2024)

Дата и автор: 04.03.2024, Отрывок телефонного разговора Председателя Совета МКД (2021-2024 гг.) со специалистом окружной комиссии по зелёным насаждениям Администрации Кировского округа г. Омска

Суть: В представленном отрывке специалист комиссии, отвечающей за согласование вырубок, подтверждает, что на 04.03.2024 года у ООО «УК «Сибирь» не было разрешения на работы по сносу деревьев по адресу ул. Взлётная, д.1. Она поясняет, что УК обращалась лишь за обследованием, но не подавала полный пакет документов, включая обязательный протокол общего собрания собственников (ОСС). Прямой вывод специалиста: действия УК на тот момент являлись незаконными.

Анализ: Данный отрывок является прямым и оперативным подтверждением нарушения от уполномоченного органа власти, зафиксированным в самый день событий. Он документально устанавливает, что УК проигнорировала ключевые требования закона: получение решения собственников и официального разрешения. У ООО «УК «Сибирь» отсутствовали законные основания для вырубки 04.03.2024.

Текущий статус: Аудиозапись является частью материалов, переданных в правоохранительные и надзорные органы. Следите за обновлениями.

Прослушать аудиозапись
Обращение в МВД от 22.05.2024 г.
Комментарии к обращению в МВД

Обращение в полицию о незаконной вырубке деревьев в 2024 году

Дата и автор: 22.05.2024, Совет МКД (2021 - 2024 гг.) по адресу: ул. Взлётная, д. 1

Суть: Официальное обращение в правоохранительные органы с требованием привлечь к ответственности ООО «УК «Сибирь» за незаконный снос деревьев на придомовой территории 04.03.2024. В обращении указано, что УК предоставила полиции письмо Администрации округа о порядке согласования работ, выдав его за готовое разрешение. При этом не было даже общего собрания собственников.

Анализ: Это официальное фиксирование проблемы: ООО «УК «Сибирь» проводит работы, игнорируя обязательную процедуру согласования с собственниками и Администрацией города. УК манипулирует документами, вводя в заблуждению не только собственников, но и полицию. Обращение зафиксировало факт вырубки и реакцию полиции (взятие объяснений), создав важный «бумажный след». Ключевой момент — УК пыталась подменить разрешительный документ информационным письмом о процедуре.

Текущий статус: Обращение зарегистрировано в КУСП (№ 18749 от 17.06.2024). Ответ полиции от 17.06.2024 гласит, что «о результатах будет сообщено дополнительно». Следите за обновлениями.

Обращение в МВД

Кликните на изображение чтобы увеличить его

Обращение в МВД о незаконной вырубке зелёных насаждений от 22.05.2024 г.